Satzung über ein besonderes Vorkaufsrecht für das
Gebiet der geplanten städtebaulichen Entwicklungsmaßnahme für den Münchner
Nordosten gemäß § 25 Abs.1 Satz 1 Nr. 2 BauGB (Vorkaufssatzung „Münchner
Nordosten“)
vom 1. Februar 2017
Stadtratsbeschluss: 25.01.2017
Bekanntmachung: 10.02.2017 (MüABl. S. 46)
Die Landeshauptstadt München
erlässt aufgrund des § 25 Abs. 1 Satz 1
Nr. 2 des Baugesetzbuches (BauGB) in der Fassung der Bekanntmachung vom
23.09.2004 (BGBl. I S. 2414), zuletzt geändert durch
Art. 6 AsylverfahrensbeschleunigungsG vom 20.10.2015
(BGBl. I S. 1722) i. V. m. Art. 23 der
Gemeindeordnung für den Freistaat Bayern (GO) in der Fassung der Bekanntmachung
vom 22.08.1998 (GVBl. S. 796), zuletzt geändert durch
Art. 17a des Gesetzes vom 13.12.2016 (GVBl.
S. 335), folgende Satzung:
§ 1 Geltungsbereich
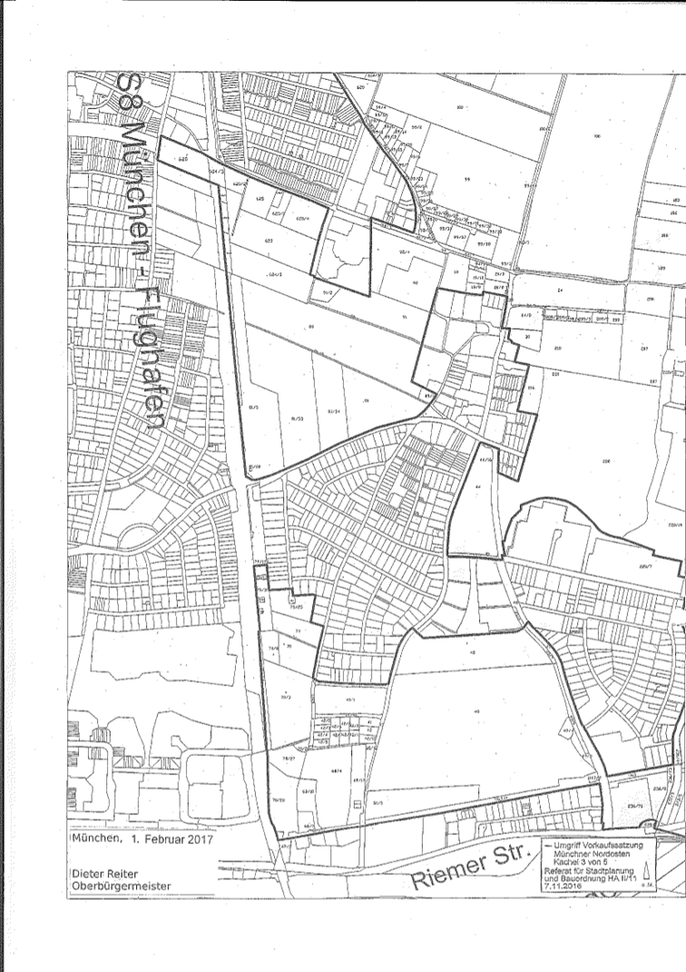
(1) Diese Satzung gilt für das Gebiet im Nordosten der Landeshauptstadt München, das im Wesentlichen zwischen der S-Bahnlinie S 8 München – Flughafen, der Bahnlinie München – Mühldorf, der östlichen Stadtgrenze und dem Lebermoosweg liegt. Für dieses Gebiet hat der Stadtrat der Landeshauptstadt München am 23.07.2008, am 05.10.2011, am 27.11.2013 und zuletzt am 25.01.2017 beschlossen, vorbereitende Untersuchungen nach § 165 Abs. 4 BauGB durchzuführen.
(2) Der räumliche Geltungsbereich ist im Lageplan vom 01.03.2016 (Maßstab 1:25.000), ausgefertigt am 01.02.2017, dargestellt. Die erfassten Grundstücke werden in den Detailplänen/Kacheln 1 bis 5 vom 07.11.2016 (ohne Maßstab), ausgefertigt am 01.02.2017, dargestellt. Der Lageplan und die Detailpläne/Kacheln sind Bestandteile dieser Satzung.
§ 2 Besonderes Vorkaufsrecht
(1) Der Landeshauptstadt München steht in dem in § 1 genannten Geltungsbereich ein besonderes Vorkaufsrecht an unbebauten und bebauten Grundstücken im Sinne des § 25 Abs. 1 Satz 1 Nr. 2 BauGB zu.
(2) Die Verkäuferin bzw. der Verkäufer eines unter das Vorkaufsrecht nach dieser Satzung fallenden Grundstücks ist verpflichtet, der Landeshauptstadt München den Abschluss eines Kaufvertrags über ihr bzw. sein Grundstück unverzüglich anzuzeigen.
§ 3 Inkrafttreten
Die Satzung tritt am Tag nach ihrer Bekanntmachung in Kraft.





